Terreno en Venta
LA PRIMAVERA, CALLEJON COMUNERO S/N°, Tunuyan Mendoza
USD135.000
Terreno - Venta
Características
ID#: 260108-11
Tipo de construcción: Terreno
Condición: Venta
Superficie Total m2: 269640
Zona Escolar: Si
Tiene Expensas: No
Descripción de la Propiedad
PROPIEDADESCUYO VENDE

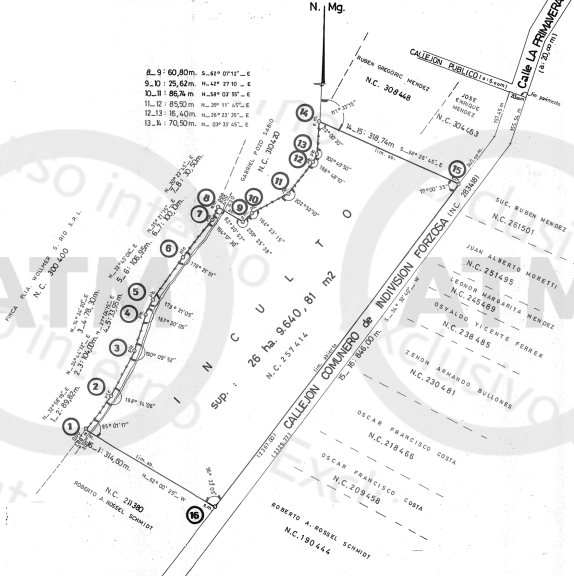
En la hermosa localidad de Tunuyán, Mendoza, se encuentra este terreno rural con un gran potencial de casi 27 hectáreas. Ubicado en La Primavera, a solo 1 km de la zona urbana y 5 km del centro de Tunuyán, este terreno ofrece un entorno natural y tranquilo ideal para diversos proyectos.

Con una topografía regular y suave pendiente, este terreno es perfecto para actividades como agricultura, ganadería, forestación y emprendimientos turísticos. El suelo franco limoso y medianamente rico es apto para una variedad de propósitos, lo que lo convierte en una oportunidad única para desarrollar un proyecto rural.

Además, la zona de La Primavera es ideal para emprendimientos turísticos gracias a su belleza natural, tranquilidad y cercanía a lugares de interés. Aquí podrás crear un lodge, domos, cabañas o un complejo turístico ecológico y sustentable que aproveche al máximo la naturaleza y la tranquilidad del lugar.

La propiedad cuenta con caminos pavimentados y de tierra, y el tendido eléctrico está cercano. Aunque no cuenta con servicios como agua, luz eléctrica, gas o cloacas, ofrece una oportunidad única para aquellos que buscan desarrollar un proyecto a medida.

El precio total de las 27 hectáreas es de 120.000 dólares, lo que lo convierte en una inversión atractiva para aquellos que buscan un terreno con potencial y posibilidades de desarrollo.

Si estás interesado en conocer más sobre esta oportunidad y visitar el terreno, no dudes en contactarnos. Estamos aquí para responder a tus preguntas y ayudarte a hacer realidad tu proyecto.

Erica Leiva Corredora Inmobiliaria Mat. CCPIM N° 1928
Ubicación
LA PRIMAVERA, CALLEJON COMUNERO S/N°, Tunuyan Mendoza
Mapa de ubicación

PROPIEDADESCUYO


Notice: Array to string conversion in /home/propcuyo/domains/propiedadescuyo.com/public_html/ficha.php on line 324
WhatsApp Llamar
Success

Su consulta fue enviada exitosamente

Enviando consulta...


WhatsApp
×